GeoHistory Resources |
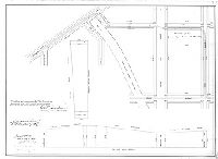
[No title. Temporary tracks of Lehigh Ave. Railway Co. tracks on Glenwood Ave., Somerset St., and Park Ave. Approved by Board of Surveyors Dec. 5, 1887], 1887PlanTitle:
[No title. Temporary tracks of Lehigh Ave. Railway Co. tracks on Glenwood Ave., Somerset St., and Park Ave. Approved by Board of Surveyors Dec. 5, 1887]
Creator:
Not named
Date Created:
1887
Physical Format:
21 x 29 in.
Coverage:
Lehigh Avenue Railway Co.
Identifier:
RC-038-02
Media:
Mounted
Map Features:
Street Railway
Image Note:
The colors in this image may have been adjusted to enhance legibility, and may not accurately reflect the original item.
Source:
Image File(s):
RC-038-02
|
|
|||||||||||||||