GeoHistory Resources |
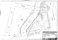
Surveys for the channelization of Frankford Creek. Department of Public Works, Bureau of Engineering, Surveys and Zoning. Properties of Charles A. Shetzline, James Bromley. Wards 23rd, 33rd [Philadelphia], 1946PlanWork Title:
Surveys for the channelization of Frankford Creek. Department of Public Works, Bureau of Engineering, Surveys and Zoning. Properties of Charles A. Shetzline, James Bromley. Wards 23rd, 33rd [Philadelphia], 1946
Surveyor:
Delany, Joseph F.
Date:
1946
Size:
24 x 32 in.
Scale:
1 inch = 30 feet
Media:
Blueprint
Map Features:
Property lines, building footprints, actual and proposed creek channels, actual and proposed streets, factories. Sixth of nine plans.
Image Note:
The colors in this image may have been adjusted to enhance legibility, and may not accurately reflect the original item.
Source:
Image File(s):
RC-108-FFCK-NewChannel-6
|
|
|||||||||||||||