2755 result(s). Showing results 1901 to 1950.
|
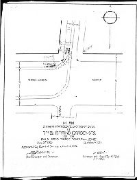
RC-091-10
|
|
Plan showing proposed re-location of curve at Second St. and Allegheny Avenue for the 22nd St. and Allegheny Avenue Pass'gr. Rwy. Co. [Approved by Board of Surveyors Jan. 19, 1903]
|
Mercer, Joseph
|
1903
|
Blueprint
18 x 14 in.
1 inch = 20 feet
|
22nd St. and Allegheny Ave. Passenger Railway Co.
Street Railway
|
|
RC-091-11
|
|
Plan showing proposed location of curve at Front St. and Allegheny Avenue for the 22nd St. and Allegheny Avenue Pass. Rwy. Co., Philadelphia, Pa. [Approved by Board of Surveyors Jan. 19, 1903]
|
Brinton, Walter
|
1903
|
Blueprint
18 x 14 in.
1 inch = 20 feet
|
22nd St. and Allegheny Ave. Passenger Railway Co.
Street Railway
|
|
RC-091-12
|
|
Plan showing proposed location of curve at 18th & Walnut Sts. for the Phila. City Pass. Rw'y Co. [Approved by Board of Surveyors Oct. 20, 1902]
|
Cranmer, William C.
|
1902
|
Blueprint
18 x 14 in.
1 inch = 20 feet
|
Philadelphia City Passenger Railway Co.
Street Railway
|
|
RC-093-01
|
|
Plan showing proposed extension of Continental Pass. Railway Co. on McKean St. from 18th to 20th Sts. Phila. Rapid Transit Co., Lessee [Approved by Board of Surveyors Oct. 19, 1903]
|
Nobré, John M.
|
1903
|
Blueprint
18 x 73 in.
1 inch = 20 feet
|
Continental Passenger Railway Co.
Street Railway
|
|
RC-093-02
|
|
Plan showing proposed extension of tracks on [various streets] for the 2nd & 3rd Sts. Passenger Railway Company [Ordinance May 20, 1903; approved by Board of Surveyors Oct. 19, 1903]
|
Close, Charles W.
|
1903
|
Blueprint
19 x 43 in.
1 inch = 100 feet
|
2nd and 3rd Streets Passenger Railway Co.
Street Railway
|
|
RC-093-03
|
|
Plan showing proposed re-location of tracks on Spring Garden Street between Thirty-third St. and bridge over Penna. R.R. for the Hestonville, Mantua & Fairmount Passenger Railway Co. [Approved by Board of Surveyors Aug. 3, 1903]
|
Johnson, Joseph
|
1903
|
Blueprint
19 x 66 in.
|
Hestonville, Mantua and Fairmount Passenger Railway Co.
Street Railway
|
|
RC-093-04
|
|
Plan of proposed change of trolley tracks at Ridge Ave. and Sumac St. made for Schuylkill Valley Traction Co. formerly Manayunk and Roxborough Inclined Plain [sic] and Railway Co.
|
Sundstrom, C. A.
|
1903
|
Blueprint
10 x 24 in.
|
Schuylkill Valley Traction Co.
Street Railway
|
|
RC-093-05
|
|
Plan showing proposed location and re-location of tracks on Delaware Ave. betw. Green St. and Fairmount Ave. for the Beach St. Connecting Pass. R'w'y Co. [Approved by Board of Surveyors Aug. 17, 1903]
|
Bloch, Frits
|
1903
|
Blueprint
20 x 19 in.
1 inch = 20 feet
|
Beach Street Connecting Passenger Railway Co.
Street Railway
|
|
RC-093-06
|
|
Plan for the Germantown Pass. Rwy. Co. showing re-location of track on Eighth Street from Callowhill St. to Buttonwood St. [Approved by Board of Surveyors Oct. 5, 1903]
|
Bloch, Frits
|
1903
|
Blueprint
14 x 38 in.
1 inch = 30 feet
|
Germantown Passenger Railway Co.
Street Railway
|
|
RC-093-07
|
|
Proposed section of rail to be used on [various streets]. Phila. Rapid Transit Co., Lessee. June 22, 1903. Scale full size. [Approved by Board of Surveyors July 6, 1903]
|
Not named
|
1903
|
Blueprint
18 x 14 in.
1 inch = 1 inch
|
Philadelphia Rapid Transit Co.
Street Railway
|
|
RC-093-08
|
|
Plan showing proposed location of track at Franklin and Arrott Sts., rear of car barn, for the Phila. Rapid Transit Co., Lessee [Approved by Board of Surveyors July 6, 1903]
|
Webster, John H., Jr.
|
1903
|
Blueprint
14 x 18 in.
1 inch = 20 feet
|
Philadelphia Rapid Transit Co.
Street Railway
|
|
RC-093-09
|
|
Plan showing proposed temporary location of loop at Broad St. and Government Ave. (opposite Navy Yard) for the League Island Extension of the 13th & 15th Sts. Passenger Railway Co'y [Approved by Board of Surveyors Nov. 2, 1903]
|
Close, Charles W.
|
1903
|
Blueprint
14 x 18 in.
1 inch = 20 feet
|
13th and 15th Sts. Passenger Railway Co.
Street Railway
|
|
RC-093-10
|
|
Plan showing proposed re-location of curve at 7th & Jefferson Sts. for the Union Passenger Railway Company, Philadelphia [Approved by Board of Surveyors Sept. 14, 1903]
|
Carlile, William K.
|
1903
|
Blueprint
18 x 14 in.
1 inch = 20 feet
|
Union Passenger Railway Co.
Street Railway
|
|
RC-093-11
|
|
Plan showing proposed re-location of curve at 7th & Spring Garden Sts. for the Phila. Rapid Transit Company, Lessee [Approved by Board of Surveyors Aug. 17, 1903]
|
Bloch, Frits
|
1903
|
Blueprint
18 x14 in.
1 inch = 20 feet
|
Philadelphia Rapid Transit Co.
Street Railway
|
|
RC-093-12
|
|
Plan showing proposed location and relocation of curves at 49th St. and Woodland Avenue for the West Phila. Passenger Railway Co. [Approved by Board of Surveyors Nov. 2, 1903]
|
Gillingham, J. Harvey
|
1903
|
Blueprint
18 x 14 in.
1 inch = 20 feet
|
West Philadelphia Passenger Railway Co.
Street Railway
|
|
RC-093-13
|
|
Plan showing proposed re-location of curve at Jefferson and Franklin Sts. for the Phila. Rapid Transit Company, Lessee [Approved by Board of Surveyors Sept. 14, 1903]
|
Carlile, William K.
|
1903
|
Blueprint
18 x 14 in.
1 inch = 20 feet
|
Philadelphia Rapid Transit Co.
Street Railway
|
|
RC-093-14
|
|
Plan showing proposed re-location of curve at Frankford Ave. and Manderson St. for the Phila. Rapid Transit Company, Lessee [Approved by Board of Surveyors Sept. 14, 1903]
|
Mercer, Joseph
|
1903
|
Blueprint
18 x 14 in.
1 inch = 20 feet
|
Philadelphia Rapid Transit Co.
Street Railway
|
|
RC-093-15
|
|
Plan showing proposed re-location of curve at 40th and Locust Sts. for the Phila. Rapid Transit Company, Lessee [Approved by Board of Surveyors Sept. 14, 1903]
|
Gillingham, J. Harvey
|
1903
|
Blueprint
18 x 14 in.
1 inch = 20 feet
|
Philadelphia Rapid Transit Co.
Street Railway
|
|
RC-093-16
|
|
Plan showing proposed re-location of curve at Cumberland and Emerald Sts. for the Phila. Rapid Transit Company, Lessee [Approved by Board of Surveyors Aug. 17, 1903]
|
Mercer, Joseph
|
1903
|
Blueprint
18 x 14 in.
1 inch = 20 feet
|
Philadelphia Rapid Transit Co.
Street Railway
|
|
RC-093-17
|
|
Plan showing proposed re-location of curve at Stella and Emerald Sts. for the Phila. Rapid Transit Company, Lessee [Approved by Board of Surveyors Aug. 17, 1903]
|
Mercer, Joseph
|
1903
|
Blueprint
18 x 14 in.
1 inch = 20 feet
|
Philadelphia Rapid Transit Co.
Street Railway
|
|
RC-093-18
|
|
Plan showing proposed re-location of curve at 11th St. and Susquehanna Ave. for the Phila. Rapid Transit Company, Lessee [Approved by Board of Surveyors Sept. 14, 1903]
|
Carlile, William K.
|
1903
|
Blueprint
18 x 14 in.
1 inch = 20 feet
|
Philadelphia Rapid Transit Co.
Street Railway
|
|
RC-093-19
|
|
Plan showing proposed location of curve into Phila. Rapid Transit Co's. Property on Huntingdon St. e[ast] of Sydenham St. for the Phila. Rapid Transit Company, Lessee [Approved by Board of Surveyors July 20, 1903]
|
Fuller, H. M.
|
1903
|
Blueprint
18 x 14 in.
1 inch = 8 feet
|
Philadelphia Rapid Transit Co.
Street Railway
|
|
RC-093-20
|
|
Plan showing proposed re-location of curve at 20th and Catharine Sts. for the Phila. Rapid Transit Company, Lessee [Approved by Board of Surveyors Aug. 17, 1903]
|
Nobré, John M.
|
1903
|
Blueprint
18 x 14 in.
1 inch = 20 feet
|
Philadelphia Rapid Transit Co.
Street Railway
|
|
RC-093-21
|
|
Plan showing proposed location of siding on Island road north of 79th St. for the West Phila. Passenger Railway Co. [Approved by Board of Surveyors Sept. 14, 1903]
|
Gillingham, J. Harvey
|
1903
|
Blueprint
18 x 14 in.
1 inch = 20 feet
|
West Philadelphia Passenger Railway Co.
Street Railway
|
|
RC-093-22
|
|
Plan showing proposed location of curve into Phila. Rapid Transit Co's. property on Beach St. s[outh] of Fairmount Ave. for the Green and Coates Sts. Pass. Rwy. Co., Philadelphia, Pa.. for the Phila. Rapid Transit Company, Lessee [Approved by Board of Surveyors July 6, 1903]
|
Bloch, Frits
|
1903
|
Blueprint
18 x 14 in.
1 inch = 20 feet
|
Green and Coates Sts. Passenger Railway Co.
Street Railway
|
|
RC-093-23
|
|
Plan showing proposed re-location of crossovers on Twenty-fifth St. south of Green St. for the Phila. Rapid Transit Company, Lessee. [Approved by Board of Surveyors Sept. 14, 1903]
|
Bloch, Frits
|
1903
|
Blueprint
18 x 14 in.
1 inch = 20 feet
|
Philadelphia Rapid Transit Co.
Street Railway
|
|
RC-093-24
|
|
Plan showing proposed location of curve at 9th and Spruce Sts. for the Union Passenger Railway Co., Philadelphia [Approved by Board of Surveyors Nov. 2, 1903]
|
Cranmer, William C.
|
1903
|
Blueprint
18 x 14 in.
1 inch = 20 feet
|
Union Passenger Railway Co.
Street Railway
|
|
RC-093-25
|
|
Plan showing proposed re-location of curve at Beach and Green Sts. for the Phila. Rapid Transit Company, Lessee [Approved by Board of Surveyors Aug. 17, 1903]
|
Bloch, Frits
|
1903
|
Blueprint
18 x 14 in.
1 inch = 20 feet
|
Philadelphia Rapid Transit Co.
Street Railway
|
|
RC-093-26
|
|
Plan showing proposed location of curves at Broad and Shunk Sts. for the 13th & 15th St. Passenger Railway Co., Philadelphia [Approved by Board of Surveyors Oct. 5, 1903]
|
Close, Charles W.
|
1903
|
Blueprint
18 x 14 in.
1 inch = 20 feet
|
13th and 15th Sts. Passenger Railway Co.
Street Railway
|
|
RC-093-27
|
|
Plan showing proposed location of curve at 12th & Arch Sts. for the Empire Passenger Railway Co., Philadelphia [Approved by Board of Surveyors Nov. 2, 1903]
|
Cranmer, William C.
|
1903
|
Blueprint
18 x 14 in.
1 inch = 20 feet
|
Empire Passenger Railway Co.
Street Railway
|
|
RC-093-28
|
|
Plan showing proposed location of curve on Schuylkill Ave. opposite Catharine St. into property of P.R.T. Co. for the Catharine and Bainbridge Sts. Pass. R'w'y. Co.
|
Nobré, John M.
|
1903
|
Blueprint
18 x 14 in.
1 inch = 20 feet
|
Catharine and Bainbridge Sts. Passenger Railway Co.
Street Railway
|
|
RC-093-29
|
|
Proposed re-location of curve (unbroken mainline) at N.E. Cor. 13th and York Sts. for the Phila. Traction Company, Lessee [Approved by Board of Surveyors July 20, 1903]
|
Fuller, H. M.
|
1903
|
Blueprint
18 x 14 in.
1 inch = 20 feet
|
Philadelphia Traction Co.
Street Railway
|
|
RC-093-30
|
|
Plan showing proposed re-location of curve at 17th & Huntingdon Sts. for the 17th & 19th Sts. Passenger Railway Co., Philadelphia [Approved by Board of Surveyors Aug. 16, 1903]
|
Fuller, H. M.
|
1903
|
Blueprint
18 x 14 in.
1 inch = 20 feet
|
17th and 19th Streets Passenger Railway Co.
Street Railway
|
|
RC-093-31
|
|
Plan showing proposed re-location of curve at Hutchinson and Huntingdon Sts. for the Phila. Rapid Transit Company, Lessee [Approved by Board of Surveyors Oct. 5, 1903]
|
Fuller, H. M.
|
1903
|
Blueprint
18 x 14 in.
1 inch = 20 feet
|
Philadelphia Rapid Transit Co.
Street Railway
|
|
RC-093-32
|
|
Plan showing proposed re-location of curves at 8th & Sansom Sts. for the Phila. Rapid Transit Company, Lessee [Approved by Board of Surveyors Sept. 14, 1903]
|
Cranmer, William C.
|
1903
|
Blueprint
18 x 14 in.
1 inch = 20 feet
|
Philadelphia Rapid Transit Co.
Street Railway
|
|
RC-095-02
|
|
Plan showing proposed location of tracks on Erie Ave. … Second St. … and on Front St. … for the 22nd St. and Allegheny Ave. Pass. Railway Co., the 2nd and 3rd Sts. Pass. Railway Co., and the Frankford and Southwark Pass Railway Co., Philadelphia
|
Brinton, Walter
|
1905
|
Blueprint
21 x 108 in.
1 inch = 100 feet
|
22nd St. and Allegheny Ave. Passenger Railway Co. and others
Street Railway
|
|
RC-095-03
|
|
Plan showing proposed extension of tracks on 22nd St. … Snyder Ave. … and on 23rd St. … also location of necessary curves … for the Union Passenger Railway Co.
|
Nobré, John M.
|
1905
|
Blueprint
18 x 47 in.
|
Union Passenger Railway Co.
Street Railway
|
|
RC-095-04
|
|
Plan showing proposed location of tracks on 27th St. … Berks St. … 25th St. … Thompson St. … and on 26th St. … for the Union Passenger Railway Co. and the Centennial Passenger Railway Co., Philadelphia
|
Carlile, William K.
|
1905
|
Blueprint
18 x 57 in.
1 inch = 100 feet
|
Union Passenger Railway Co. and Centennial Passenger Railway Co.
Street Railway
|
|
RC-095-05
|
|
Plan showing proposed re-location of curve at 15th and Susquehanna Ave. for the Empire Passenger Railway Co., Phila. Rapid Transit Co., Lessee
|
Carlile, William K.; Fuller, H. M.
|
1905
|
Blueprint
18 x 14 in.
1 inch = 20 feet
|
Empire Passenger Railway Co.
Street Railway
|
|
RC-095-06
|
|
Plan showing proposed re-location of tracks at K. & O. Pike from I St. to Verree St. for the Frankford and Southwark Passenger Railway Co., Philadelphia
|
Webster, Clement B.
|
1905
|
Blueprint
18 x 20 in.
1 inch = 20 feet
|
Frankford and Southwark Passenger Railway Co.
Street Railway
|
|
RC-095-07
|
|
Plan showing proposed re-location of curve at 32nd St. & Columbia Ave. for the 22nd St. and Allegheny Ave. Pass. Railway Co. [Approved by Board of Surveyors Aug. 7, 1905]
|
Carlile, William K.
|
1905
|
Blueprint
18 x 14 in.
1 inch = 20 feet
|
22nd St. and Allegheny Ave. Passenger Railway Co.
Street Railway
|
|
RC-095-08
|
|
Plan showing proposed re-location of curve at Front & Lombard Sts. for the Lombard and South Sts. Pass. Railway Co. [Approved by Board of Surveyors Aug. 7, 1905]
|
Cranmer, William C.
|
1905
|
Blueprint
18 x 14 in.
1 inch = 20 feet
|
Lombard and South Sts. Passenger Railway Co.
Street Railway
|
|
RC-095-09
|
|
Plan showing proposed re-location of crossovers on Lehigh Ave. between Howard and Hancock Sts. for the Frankford and Southwark Passenger Railway Co. and the Union Passenger Railway Co. [Approved by Board of Surveyors April 17, 1905]
|
Mercer, Joseph
|
1905
|
Blueprint
24 x 36 in.
|
Frankford and Southwark Passenger Railway Co. and Union Passenger Railway Co.
Street Railway
|
|
RC-095-10
|
|
Plan showing proposed location of curve at 23rd & Wharton Sts. for the Union Pass. Railway Co. [Approved by Board of Surveyors July 17, 1905]
|
Nobré, John M.
|
1905
|
Blueprint
18 x 14 in.
1 inch = 20 feet
|
Union Passenger Railway Co.
Street Railway
|
|
RC-095-11
|
|
Plan showing proposed location of curve at 22nd & Wallace Sts. for the Green and Coates Sts. Pass. R'w'y. Co. and the Union Pass. Railway Co., Philadelphia [Approved by Board of Surveyors Dec. 4, 1905]
|
Bloch, Frits
|
1905
|
Blueprint
18 x 14 in.
1 inch = 20 feet
|
Green and Coates Sts. Passenger Railway Co. and Union Passenger Railway Co.
Street Railway
|
|
RC-095-12
|
|
Plan showing proposed location of curve at 13th & Sp. Garden [Spring Garden] Sts. for the 13th & 15th Sts. Pass. Railway Co. and the Union Pass. Railway Co., Philadelphia [Approved by Board of Surveyors April 2, 1906]
|
Bloch, Frits
|
1906
|
Blueprint
18 x 14 in.
1 inch = 20 feet
|
13th and 15th Sts. Passenger Railway Co. and Union Passenger Railway Co.
Street Railway
|
|
RC-095-13
|
|
Plan showing proposed location of curve at Allegheny Ave. and Edgemont St. for the 22nd St. and Allegheny Ave. Pass. Rwy. Co. and the Union Pass. Railway Co., Philadelphia [Approved by Board of Surveyors Feb. 18,1906]
|
Mercer, Joseph
|
1906
|
Tracing
18 x 14 in.
1 inch = 20 feet
|
22nd St. and Allegheny Ave. Passenger Railway Co. and Union Passenger Railway Co.
Street Railway
|
|
RC-095-14
|
|
Plan showing proposed location of curve at 12th & Ridge Ave. for the Ridge Ave. Pass. R'w'y. Co. and the Empire Pass. R'w'y. Co. [Approved by Board of Surveyors June 19, 1905]
|
Bloch, Frits
|
1905
|
Blueprint
18 x 14 in.
1 inch = 20 feet
|
Ridge Ave. Passenger Railway Co. and Empire Passenger Railway Co.
Street Railway
|
|
RC-095-15
|
|
Plan showing proposed location of curve at 6th & Fairmount Ave. for the Green and Coates Sts. Pass. R'w'y. Co. and the Frankford and Southwark Pass. Railway Co. [Approved by Board of Surveyors April 2, 1906]
|
Bloch, Frits
|
1906
|
Blueprint
18 x 14 in.
1 inch = 20 feet
|
Green and Coates Sts. Passenger Railway Co. and Frankford and Southwark Passenger Railway Co.
Street Railway
|
|
RC-095-16
|
|
Plan showing proposed location of crossover on Sixty-third St., south of Vine St., for the West Phila. Pass. Railway Co., Philadelphia [Approved by Board of Surveyors Jan. 2, 1906]
|
Johnson, Joseph
|
1906
|
Blueprint
18 x 14 in.
1 inch = 20 feet
|
West Philadelphia Passenger Railway Co.
Street Railway
|